天然实木木箱_上海包装木箱厂


  • 上海PA电子木箱包装厂家欢迎你
    20年专注木箱包装设计定制 出口木箱包装设计\加工\打包运输一站式整合包装
    全国咨询热线:13917280795
    实木木箱

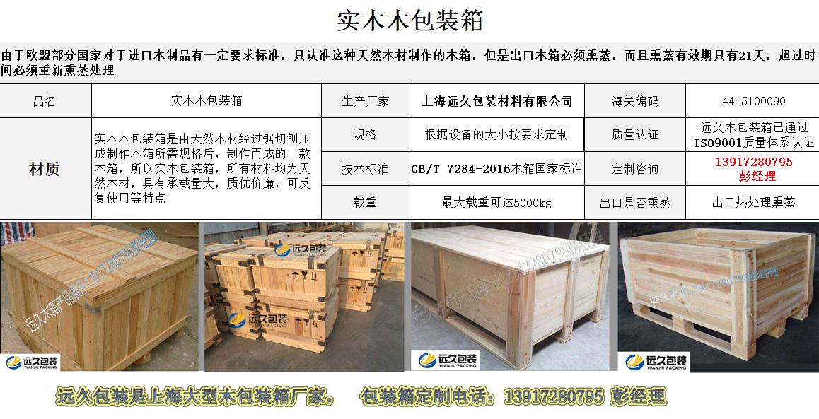
    天然实木木箱

    • 产品型号: 天然实木木箱

    • 生产厂家: 上海PA电子包装材料有限公司

    • 产品尺寸: 可按要求定制

    • 载重标准:均匀负载3000kg

    • 服务标准: 免费上门测量及免费制作CAD图纸

    • 产品价格: 80元起/平方米

    实木木箱熏蒸

    全部由天然实木制作而成的木箱称之为实木木箱,实木木箱是由天然木材经过锯切、刨压成制作木箱所需规格后组装加工而成,所以实木木箱所有材料均为实木(松木,杨木,硬杂木等),具有承载量大、质优价廉、可反复使用等特点。

    由于欧盟部分国家对于进口木制品有一定要求标准,只认准这种天然木材制作的木箱,但是出口之前必须经过热处理熏蒸杀虫,而且熏蒸有效期只有21天,超过时间必须重新熏蒸处理,所以使用单位在采购的时候都说要购买出口熏蒸木箱。

    高品质的熏蒸木箱包装在生产过程中有严格的要求,主要有材料要求、成箱后尺寸要求、连接要求和木箱外观要求。

    1、木材含水率不大于15%,含水率测定方法按GB12626.2执行。

    2、活节原则上不限,但最大节子直径不得超过材宽的二分之一。

    3、死节、漏节不贯通的一律不计,但不得在包装木箱的外表面存在,贯通的节子直径大于5mm时,应在包装木箱外表面用原木嵌补。

    4、不贯通的裂纹不限,但不允许有裂纹贯通。

    5、任意材长1m时,虫眼的个数不得超过15个,小于5mm的虫眼不计,条状虫眼不得超过3个,贯通虫眼大于5mm用原木嵌补。

    6、钝棱最严重的缺角宽度不得超过材宽的40%,高度不得超过材厚的二分之一。

    7、腐朽部分的最大宽度不得超过20mm,长度不得超过单板面的十分之一。斜纹纹理的倾斜度不得超过五分之一。

    在实际的生产加工过程中,熏蒸实木木箱的生产涉及到的方面很多,包括原木锯材的储存、保管,原木的锯解工艺,锯材的分选与检验,锯材的深加工和剩余物的利用。实木木箱的生产的前端需要原木锯解,原木锯解技术主要是提高原木的出材率、提高成品锯材的质量及提高劳动生产率,降低实木木箱生产工人的劳动强度和改善工作环境,合理利用森林资源增加产品的附加值,获得最大的经济效益。

     

    上一篇:大型框架木箱

    下一篇:轻型包装木箱

    在线客服
    联系方式

    热线电话

    13917280795

    上班时间

    周一到周五

    公司电话

    13917280795

    二维码
    线


  • PA电子
    PA电子
    网站地图